18107 Rostock Lichtenhagen-Dorf

ahrens projektentwicklung bauland

 

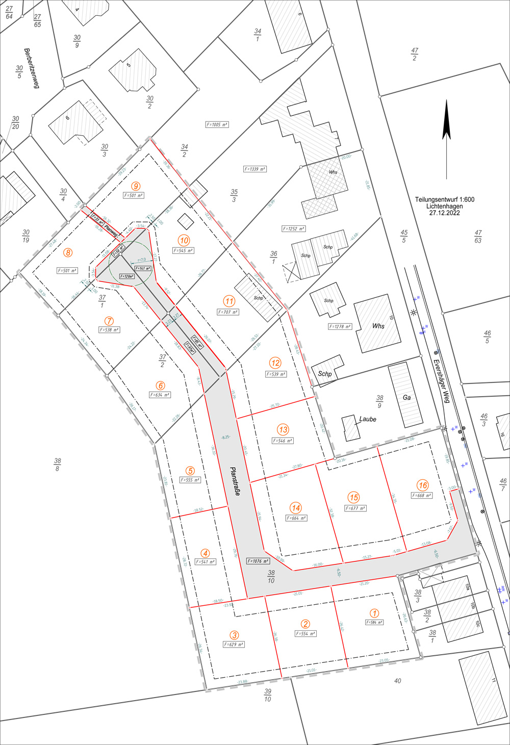
  • B-Plan Nr. 22 „Wohngebiet Evershäger Weg“
  • ca. 10.000 m²
  • Fertigstellung/Übergabe: Juni 2024

 

Parzellierungsplan

Fahren Sie mit der Mouse über die Kennzeichnung oder tippen Sie in der mobilen Ansicht darauf für nähere Informationen wie Grundstücksgröße oder Kaufpreis!

 

Grundstückserschließung frei reservierte Grundstücke reserviert Baulandentwicklung verkauft

 

 

 

 


 

Sie wünschen weitere Informationen?

Wir freuen uns über Ihre Anfrage.

 


 

Tel.: 038203 - 73 55 44

 

Fax: 038203 - 73 55 45

 

E-Mail: info@ahrens-projekt.de

 


 

 Baulanderschließung